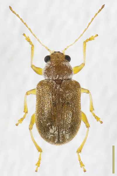
キカサハラハムシ

Xanthonia placida Baly, 1874

キカサハラハムシ♀

雌 雄   ♀ Female

体 長   3.39mm

採集日   5.Ⅷ.2017

採集地   東京都

備 考   スケール黄は1mm