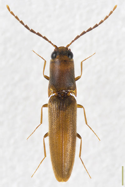
ホソツヤケシコメツキ

Hayekpenthes pallidus pallidus (Lewis, 1894)

ホソツヤケシコメツキ♂

雌 雄   ♂ Male

体 長   7.07mm

採集日   16.Ⅶ.2016

採集地   埼玉県

備 考   スケール黄は1mm、基亜種