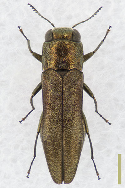
ヒコサンナガタマムシ

Agrilus yamabusi Miwa et Chûjô, 1940

ヒコサンナガタマムシ

雌 雄   不明 

体 長   5.22mm

採集日   6.Ⅶ.2013

採集地   東京都

備 考   スケール黄は1mm。Agrilus nakanei Y. Kurosawa, 1963 / ナカネナガタマムシ; Agrilus ohmomoi Toyama, 1985 / オオモモナガタマムシ