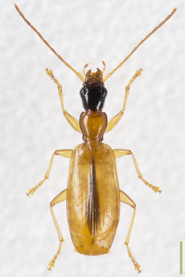
ミズギワアトキリゴミムシ♀

Demetrias marginicollis Bates, 1883

ミズギワアトキリゴミムシ♀
ミズギワアトキリゴミムシ♀拡大図