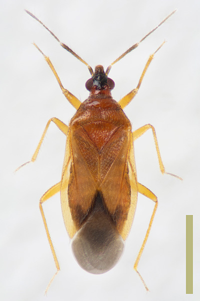
ヤサハナカメムシ

Amphiareus obscuriceps (Poppius, 1909)

ヤサハナカメムシ♂

雌 雄   ♂ Male

体 長   2.68mm

採集日   24.Ⅹ.2020

採集地   埼玉県

備 考   スケール黄は1mm